På torsdag 7. mai var Sara til rtg for å se hvor mange valper det er.
Bilde jeg tok av rtg bilde ble ikke så bra, men hos veterinæren var det lett å se. Så nå gjenstår det å se hva det blir. 🙂

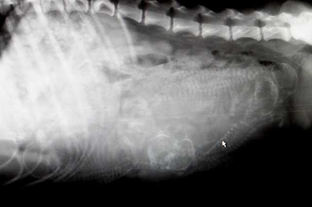
På torsdag 7. mai var Sara til rtg for å se hvor mange valper det er. Bilde jeg tok av rtg bilde ble ikke så bra, men hos veterinæren var det lett å se. Så nå gjenstår det å se hva det blir. 🙂
Legg igjen en kommentar